اخبار السعودية
“ميليسا” تواصل اشتدادها وتقترب من الإعصار.. أمطار غير مسبوقة تهدد الكاريبي بفيضانات وانهيارات قاتلة

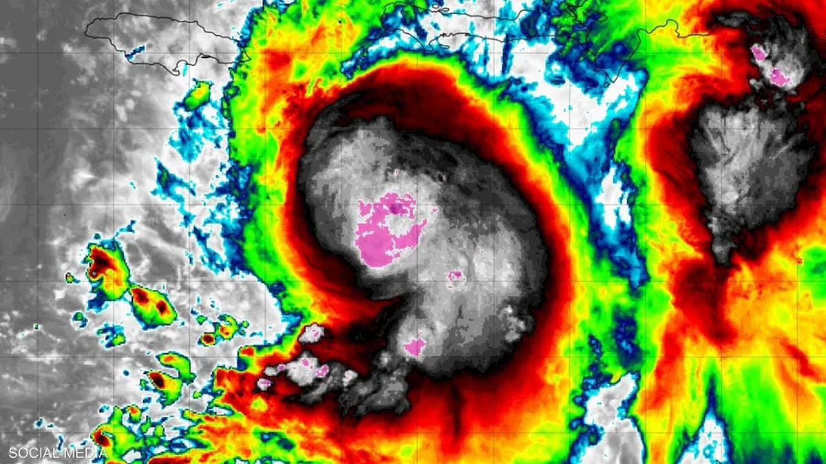
تواصل العاصفة المدارية “ميليسا” زحفها نحو منطقة البحر الكاريبي، وسط تحذيرات متصاعدة من خبراء الأرصاد لاحتمالية تحوّلها إلى إعصار كبير خلال عطلة نهاية الأسبوع، ما يهدد بحدوث فيضانات وانهيارات أرضية كارثية في شمال المنطقة.



